Aquatic biomes include both freshwater and marine biomes. The marine biome is divided into three main ecosystems: the oceans, coral reefs and estuaries. South Africa has a coastline that is over 3000 kilometres in length and it features coral reefs on its eastern coastline and numerous estuaries along its length.
Ocean ecosystems are divided into four zones that, broadly speaking, are differentiated by their proximity to the shoreline and by their depth. The intertidal zone is along the shoreline. Further out is the pelagic zone, and beneath that is the benthic zone, which includes the sea floor. The deepest and darkest zone is referred to as the abyssal zone.

As the tide goes out the rock pools are gradually exposed along the intertidal edge of Sodwana Bay, KwaZulu-Natal. High vegetated dunes can be seen on the other side of the bay
In South Africa the intertidal shoreline may be sandy or rocky. For many of us, our commonest experiences of the ocean are along the shoreline. For a previous post on the fascination of rock pools in the intertidal zone see here.

This sandy inlet between rocky outcrops seems to invite one into its sheltered waters decorated with tumbled pebbles, crushed shells and floating kelp. I took this photo on a visit to Onrus in the Overberg region of the Western Cape
Life abounds in the intertidal zone and includes also a variety of seabirds adapted to the marine environment, some of which nest on rocky shores or on dunes or sandy beaches above the high tide line. Nesting birds are very vulnerable to human activity on the beaches. I discuss more of this issue in a previous post on the suburban seaside.

African black oystercatchers foraging in the intertidal zone near Hermanus in the Western Cape. Their diet includes limpets, mussels and crustaceans. Oystercatchers are ground nesters and their nests, little more than a scrape on the ground, are very vulnerable to disturbances

Flocks of terns and seagulls on the rocky shoreline at Onrus, Western Cape

A closer look at the terns and gulls congregating on the shoreline

The terns are particularly exquisite in flight. There is an abundance of kelp growing in the tidal waters of this small bay at Onrus
The eastern coastline and the eastern side of the southern coastline of South Africa adjoins the Indian Ocean, and west of that and up the western side of South Africa the coastline adjoins the colder waters of the Atlantic Ocean. Cape Agulhas, a headland on the south coast in the Overberg region of the Western Cape marks the point at which the two oceans officially meet.

The plaque marking the officially designated point along the coastline where the Indian and Atlantic oceans meet at Cape Agulhas
Many living organisms and animals are harvested from the sea to feed and sustain the human population. Sadly, overharvesting has become a threat to many populations of fish and other creatures. Other significant threats to the marine biome are climate change, which is associated with a significant increase in water temperature and pollution.

Colourful small-scale fishery boats looking picturesque at the Hout Bay harbour near Cape Town in 2004
For those who eat fish, the South African Sustainable Seafood Initiative (SASSI) helps direct retailers, consumers and people who fish to use the more sustainable species using a colour-coded system where species on the green list are more sustainable, species on the orange list less so, and those on the red list are unsustainable and/or illegal to sell in South Africa. See the full SASSI list here: http://wwfsassi.co.za/sassi-list/.
Also available from SASSI are easy tools to aid making more sustainable choices while shopping or eating out, including an app that can be downloaded to one’s phone and a pocket guide – see http://wwfsassi.co.za/tools/

I photographed these long-lines and hooks in a fishing boat in Hout Bay harbour in 2004. Long-line fishing is notorious for its indiscriminate by-catch, which frequently includes non-target species of fish and even turtles, seabirds and other creatures
In addition to over-harvesting, pollution has a severe effect on the marine biome and on individual species. A local example of the effect of pollution on fish species is reported in a peer-reviewed study done on fish caught by small-scale commercial fishermen at Kalk Bay near Cape Town. Fifteen different chemical compounds were tested for in the fish fillets, gills, liver and intestines of fish tested. The fish tested were from random daily commercial catches sold at Kalk Bay harbour in late 2017 and included snoek, hottentot (Cape bream) and panga according to an article in Groundup reporting on the study.
Compounds that were present in various body parts of the fish included pharmaceuticals such as analgesic/anti-inflammatories, an antibiotic and an anti-epilectic drug and a disinfectant and various industrial chemicals found in pesticides, flame retardants and personal care products. All compounds represent a level of risk when consumed by humans. The presence of pharmaceuticals arises because Cape Town pumps about 37 million litres of untreated sewage out to sea per day.
In addition, partially treated waste-water also finds its way into the sea as well as direct run-off from stormwater drains that is discharged into streams or rivers or directly into the sea. For more details about this report see here: https://www.groundup.org.za/article/were-eating-our-waste/.

Freshwater from the lagoon flowing into Sodwana Bay just after dawn as the coastal fog is rising
For some relief from such hectic information, the above photo was taken at Sodwana Bay, in the iSimangaliso Marine Protected Area which is part of the iSimangaliso Wetland Park. This conservation area is on the UNESCO World Heritage list and it includes protection of coastal and offshore marine life, notably providing nesting sites along its shores for loggerhead and leatherback turtles.
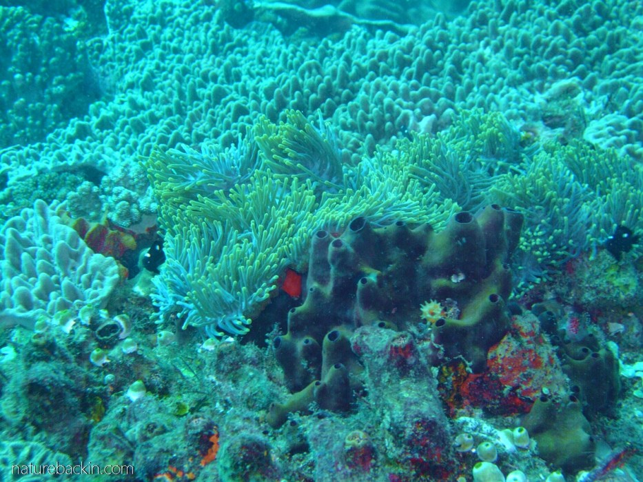
The Sodwana area is world famous for its offshore coral reefs, which attract scuba divers to venture out to explore what really is a wonderland in the clear waters just off the coast.

The skipper looks for a gap in the breakers before taking scuba divers out to the coral reefs off shore from Sodwana Bay. My spouse is one of the divers on board. For a short account of my brief foray into scuba diving see here
Unless one uses lights underwater, the deeper one dives the more of the colour spectrum fades away as the light gets filtered through the water. Despite this limitation here are a few photos that my spouse managed to take while diving on the reefs.

This part of the coral reef must be fairly shallow as red is still visible. Red is the first part of the colour spectrum to be filtered out, and disappears at a depth of about 4.5 m (15 feet), orange being the next to go. Yellow is still visible at a depth of 10.6 to 12 m (35–40 ft)

Corals seen in filtered light – many of these corals are likely greyish in colour even in unfiltered light

A marine turtle foraging on the reef. Judging from the slightly hooked beak this is a loggerhead turtle, the most common turtle in South African waters. It nests in protected areas along the northeastern coast of KwaZulu-Natal

Bright yellow turret corals growing in small clusters

A shoal of yellow snappers. These fish occur on coral reefs to a depth of about 40 m (130 feet)

Meanwhile, back on the shore the lagoon, which was closed off from the sea by a barrier at the time, reflects the sky. The relationship of the freshwater lagoon to the sea is constantly changing – sometimes the sand barrier is so narrow that the high tide washes into the lagoon, and sometimes the barrier is breached and the lagoon flows directly into the sea
I almost got bogged down in discussions as to the difference between lagoons and estuaries, but the terms are often used rather vaguely and also can be used interchangeably. It seems safe to say that lagoons can be regarded as a subset of estuaries. Estuaries form where rivers flow into the ocean and they are often partially or even completely enclosed from the sea but there are times where there is an inflow and outflow of freshwater and water from the sea at high tide. Estuaries are one of the three major ecosystems identified in the marine biome.

Part of the Kosi Bay estuary system with it traditional system of fish traps in place with the Indian Ocean beyond. The Kosi Bay system comprises a complex of four lakes connected by channels and wetlands leading into the relatively narrow channel at its mouth into the ocean

A view from the shoreline of one of the Kozi Bay lakes with the line of high dunes between the lake system and the ocean visible against the skyline. Several years ago we went on a 4-day hike around the Kozi Bay estuary system, but the photographs we took were on film. Perhaps one of these days I should digitise the prints and do a blog post on this interesting hike
Estuaries are very dynamic systems with salinity levels varying as freshwater and seawater levels are constantly changing with the tide and seasonally or in the longer term due to environmental factors such as rainfall and human activities that divert groundwater away from the system. For example, thirsty tree plantations can have a major impact on freshwater supplies to an estuary as happened at the Lake St Lucia estuary, which forms part of the iSimangaliso Wetland Park. Controversies over the management of the Lake St Lucia estuary remain ongoing. Active human interventions over the decades include diverting the Mfolozi river away from the lake to the benefit of sugar farming, and more recently restoring the old path of the river into the lake. A further source of debate and controversy is when and how the sand barrier at the mouth into the sea should be breached. Most recently the mouth was breached using earth removing equipment in January 2021. For more see here.

A view of a section of the Lake St Lucia estuary during a prolonged period of drought. Mostly mud and very little standing water is visible in the darker area surrounded by dry sand. In what used to be more usual times the sandy areas would be underwater. This photograph was taken in January 2016

The above photo was taken in February 2019 not far from the previous photo, but after the end of the severe drought with much more water in Lake St Lucia
Resident organisms in estuarine systems have to be able to cope with fluctuations in salinity levels, but estuaries also attract many visiting species. Estuaries can act as breeding grounds or nurseries for visiting marine species and they provide food and shelter for migrating species of birds. Many different habitat types exist in and around estuaries. Estuaries also play an important role as filters of both sediments and pollutants that may be present in river systems. Estuaries also act as buffer systems along shorelines.

This large body of freshwater in the Overberg region of the Western Cape is situated alongside the seashore (separated by dunes). It is known variously as the Klein River Estuary or Lagoon – illustrating the interchangeability of the terms estuary and lagoon. A section of the estuary is a declared bird sanctuary. Just as for Lake St Lucia, there are ongoing controversies as to when and where the barrier between the estuary and the sea should be artificially breached (or even if at all)

Greater flamingos foraging in the water flowing out from the Klein River estuary into the ocean
Globally estuaries and wetlands are all too often drained to make way for urban settlement. It can only be hoped that the estuaries that still remain are appropriately protected.

A view of part of the Langebaan Lagoon Marine Protected Area, an important estuarine system on the western coast of South Africa
Included in the habitats supported by the estuarine system and in the offshore protected area in the Langebaan Lagoon Marine Protected Area are rocky reefs that support kelp forests – for more detail see here.
The reason I specifically mention the kelp forests is because I want to link to the documentary My Octopus Teacher that was filmed in the kelp forest offshore from Simonstown near Cape Town. The film has won numerous awards, including the BAFTA for best documentary and most recently an Oscar, also for best documentary.
The documentary is based on the most astounding footage of an octopus in the kelp forest who develops an undeniable bond with Craig Foster, a naturalist and free diver (he did not use scuba gear, snorkling gear or a wetsuit), who literally and figuratively immersed himself in the icy waters surrounding the kelp forest.
For more about the making of the film directed by Pippa Ehrlich and James Reed, and produced by Craig Foster, and the decisions made about how to frame the story, see https://seachangeproject.com/my-octopus-teacher/.
Also on the website is more information about the kelp forests https://seachangeproject.com/great-african-seaforest/. The Sea Change Trust was founded by Craig Foster and Ross Frylinck in 2012 and in the ensuing Sea Change Project the project team engages in story telling for ocean protection. On the website the ‘About page’ explains:
“We are a team of media and science professionals dedicated to connecting people to the wild through incredible stories backed by scientific knowledge. Our goal is to contribute to the long-term protection of South Africa’s marine environment by making the Great African Seaforest a global icon. Our work includes films, books, exhibitions, marine biology research through living science, and impact campaigns”.
https://seachangeproject.com/about/
Sources:
Carnie Tony. 2021. Oom Rudi and the bulldozers: SA’s largest estuarine lake mouth smashed open. Daily Maverick 168. 9 January. https://www.pressreader.com/south-africa/daily-maverick/20210109/281590948197722
IUCN. [n.d.] Ocean Warming. IUCN Issues Brief. https://www.iucn.org/resources/issues-briefs/ocean-warming
Kretzmann, Steve. 2019. Pharmaceuticals and industrial chemicals found in fish caught off Cape Town’s coast. City’s waste is ending up in its fish. Groundup. 25 June. https://www.groundup.org.za/article/were-eating-our-waste/
Lindsey, Rebecca. 2021. Climate Change: Global Sea Level. National Oceanic and Atmospheric Administration. January 25. https://www.climate.gov/news-features/understanding-climate/climate-change-global-sea-level
UNESCO. [n.d.] iSimangaliso Wetland Park. https://whc.unesco.org/en/list/914
WikiMili. 2021. Langebaan Lagoon Marine Protected Area. https://wikimili.com/en/Langebaan_Lagoon_Marine_Protected_Area
Posted by Carol

Discover more from letting nature back in
Subscribe to get the latest posts sent to your email.







May 22, 2021 at 3:01 am
I see some distinct similarities to our shorelines and estuaries… but no turtle or flamingos. I truly admire and envy your ability of “wrangling it into some kind of shape for a post “! The last time I visited this post, I didn’t have the time to watch the video. I’m truly pleased that I managed to come back for a look. It does sadden me to think of what us humans have done to this wondrous planet we live on, but there’s hope that some folks are dedicated to trying to preserve what they can in any way they may.
Thanks for this marvelous post and the effort that went into it.
LikeLiked by 1 person
May 24, 2021 at 2:28 pm
Thanks very much Gunta. I am so pleased that you liked this post as I know how you love your beautiful shoreline and ocean. I also feel deeply grateful for the caring people who dedicate their lives to protecting our planet and specific habitats upon which we all ultimately depend.
LikeLike
May 4, 2021 at 4:10 pm
Thank you for sharing this wonderful post. The amount of research you have put in is incredible. I have learned so much! During the times I spent in South Africa I have been so fortunate to visit the Kosi bay lakes and I was blown away by its beauty. I was also very pleased to see hippos there and sea turtles nesting and the fact that it was really not done to get too close to the turtles. Also the coral reef and the diversity of marine life in Sodwana bay is so precious and such a huge difference from the kelp forest in the colder waters. I think South Africa is truly blessed with this beauty and I hope that her people will be able to preserve this and expand even more the surface areas of the parks. This is the only way. I think that the Octopus Teacher and the fact that now everyone is talking about this documentary might help. Finger crossed. Warm wishes and thanks again for this wonderful post. Marcella
LikeLiked by 1 person
May 4, 2021 at 5:38 pm
Thanks very much Marcella. Your travels in South Africa have encompassed so much and such a variety of places! I am pleased to hear that it was considered not done to get too close to the turtles, as it has bothered me how some tours in the past at least had tourists encircling nesting turtles in close proximity.
Sodwana Bay is indeed so special and South Africa is very blessed with its natural beauty and diversity. Hopefully information and movies like My Octopus Teacher will lead to greater awareness and help us better understand our place in nature and our interdependence.
Best wishes from SA.
LikeLiked by 1 person
May 4, 2021 at 7:48 am
Reading your post elated and deflated me by turns. It is sobering and terrifying to know what humans are doing to the ocean. Thank you for the most beautiful photographs which have made me yearn to visit the sea again. I am also pleased to have learnt about the four zones and am intrigued by the names, particularly the abyssal zone (!)
LikeLiked by 1 person
May 4, 2021 at 4:57 pm
Thank you Mariss – I know what you mean about being elated and deflated by turns – very sobering indeed. And yes – abyssal – unfathomable!
LikeLiked by 1 person
May 2, 2021 at 8:44 pm
What a fascinating look at the South African coast, its multitude of ecosystems, and the challenges they face. The photos are great as always, but that top photo is really beautiful.
LikeLiked by 1 person
May 3, 2021 at 6:49 pm
Thank you Graham. We do have a long and fascinating coastline. I also like that top photo. It was taken at a beautiful place called Mabibi in the iSmangaliso Wetland Park on the KwaZulu-Natal coast
LikeLiked by 1 person
May 2, 2021 at 7:00 am
You’ve really taken us to some of the most stunning destinations on the South African coastline with your beautiful photos and engaging writing, Carol – thank you!
LikeLiked by 1 person
May 3, 2021 at 6:43 pm
Thanks very much. Unfortunately our visits to the wild coast and other coastal areas that I would have liked to include were photographed on film and I only have prints …
LikeLiked by 1 person
May 4, 2021 at 12:42 am
Any plans for a return visit, Carol?
LikeLiked by 1 person
May 4, 2021 at 4:55 pm
Not just yet – perhaps I might scan in some print images as a kind of interim thing.
LikeLiked by 1 person
May 2, 2021 at 1:30 am
Your blog is very special Carol. Your meticulous attention to detail, excellent research and of course illustrated so beautifully by stunning photos, gives a wonderful overview of a precious biome. Thank you! xxx
LikeLiked by 1 person
May 3, 2021 at 6:30 pm
Thanks Christeen. I sometimes think that we as a species don’t always realise just how precious it is!
xxx
LikeLiked by 1 person
May 4, 2021 at 5:17 am
I fully agree…. xxxx
LikeLiked by 1 person
May 1, 2021 at 2:19 pm
Oh Carol, thank you so much for this heartfelt and engaging look into the wild South African waters. From the first photo, you pulled me in with your scientific biome explanations and the beauty and activities, some good, some bad, of what is going on along your coastlines. You pulled us in gently, sharing the beauties, then revealed some of the very troubling aspects of overharvesting, pollution, and the dumping of untreated sewage; but all done to inform but not deter our interest, providing links for how to read and/or do more. Then the photos were uplifting again, and the YouTube clip from My Octopus Teacher was the perfect finale. Your photos and narrative were marvelous. Thank you for this moving embrace of your shorelines and seas.
LikeLiked by 1 person
May 1, 2021 at 2:49 pm
Thank you very much for your thoughtful response. I must say I was afraid of deterring readers because we are so constantly overwhelmed by bad news about troubling events and ongoing problems. But at the same time, I do believe that awareness is necessary for even beginning to mitigate against a lot of harmful practices. I also believe that the wonders of our planet can inspire us to be more caring and courageous. I think My Octopus Teacher does an excellent job of being inspirational and reconnecting us with the natural world that we are part of even though many of us tend to forget that.
LikeLiked by 1 person
May 1, 2021 at 9:16 am
Fascinating as ever, Carol. The photographs are balm for the soul; the damage occurring in these fragile environments much less so. But awareness is a positive step for many of us and in taking the time to collate these posts you are sowing seeds of change which may grow into something very much bigger. Thank you for the link to My Octopus Teacher too.
LikeLiked by 1 person
May 1, 2021 at 12:58 pm
Thank you so much for this most encouraging perspective Sandra, which I really appreciate. I am very happy to pass on the link to My Octopus Teacher and I hope you are able to see the full movie.
LikeLiked by 1 person
May 1, 2021 at 7:59 am
I never think of you as a sea-side blogger, but as usual, you approach the subject with a wide-ranging consideration of all the challenges that exist for the wildlife that exists there. A fascinating post which I need to re-read.
LikeLiked by 1 person
May 1, 2021 at 12:56 pm
Actually when writing this post I was quite surprised to find how many posts on the blog do relate to the sea! Thank you – I am pleased to hear you found it fascinating. I battle with not descending into too much gloom re climate change and try to stay more constructive, whatever that means! There is more than enough around to induce gloom isn’t there?
LikeLike
May 1, 2021 at 7:03 am
Incredibly interesting, along with amazing photos. The information and link to the documentary: My Octopus Teacher was much appreciated! It certainly opens my eyes to things under the ocean! Thank you so much for a great post Carol!
LikeLiked by 1 person
May 1, 2021 at 12:52 pm
Thanks so much Megan. Did you get to watch the entire movie? I found it so astonishing and humbling and the beauty of the kelp forests is something quite profound.
LikeLiked by 1 person
May 1, 2021 at 5:22 pm
I haven’t watched the entire movie yet, but intend to soon. A friend of mine watched it and has been recommending it to all her friends. She was amazed by it. It will probably be one of those rare movies that I will have to watch more than once in order to take it all in. Nature is truely amazing!
LikeLiked by 1 person
May 3, 2021 at 6:17 pm
Indeed it is. The movie is beautiful and astounding.
LikeLiked by 1 person
April 30, 2021 at 8:30 pm
Excellent post, Carol. I learn so much from you!
LikeLiked by 1 person
May 1, 2021 at 12:48 pm
Thank you very much Eliza. I am learning lots as I go along too 🙂
LikeLiked by 1 person
April 30, 2021 at 4:12 pm
What a wide-ranging and interesting piece this is. It is very informative for a land-lubber like me, who seldom gets to the sea anymore. You have really put a lot into this, Carol, for the benefit of the rest of us. Thank you.
LikeLiked by 1 person
May 1, 2021 at 12:47 pm
Thanks for your kind comment Anne. I generally end up doing more reading than the post requires, but I enjoy the process of learning a lot of interesting stuff along the way. But then I have to spend time wrangling it into some kind of shape for a post I hope will be readable! I am so pleased to know that you found the piece interesting. Thanks again.
LikeLike